Dermal Fillers are
Buy Two Get One FREE!
Our skincare professionals go the extra mile when providing guests with realistic outcomes built around their individual needs. Personally guiding you to make educated decisions about your aesthetic choices is why we take pride in what we do.
Call us at 763.494.9905 or fill out the form to claim the *Buy Two Get One Offer. That's up to an $800 value!* Not sure if you're ready? Consultations are always FREE.
As you age, sun damage and other factors can reduce the amount of HA (hyaluronic acid) in your skin. The lack of HA causes your skin to lose structure and volume — creating unwanted facial wrinkles and folds. The goal is to return the dermis to its original youthful state.
We can achieve this with Dermal Fillers. The beauty of using Dermal Fillers lies in achieving a more natural appearance than surgical facelifts. Results include reduced or eliminated wrinkles, decreased raised scar depressions, enhanced lips, and replacement of soft-tissue volume loss.
Offer Available June 1 - August 31, 2026
Some Exclusions Apply
See Belladerm MedSpa for Details
Buy two, get one FREE filler
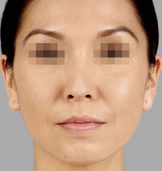
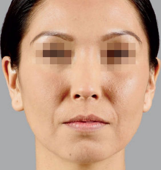
Dermal Fillers Before & After
Unretouched photos taken before and after treatment. Individual results may vary.






Dermal Fillers FAQs
What Is a Dermal Filler?
Restylane®, Perlane®, and Juvéderm® are natural substances called hyaluronic acid that already exist in the human body and restore fullness and smoother contours to your face. These fillers are for deeper wrinkles or creases.
Does It Correct All of My Wrinkles?
You will have an 80 to 100 percent improvement in the appearance of the injected lines and wrinkles temporarily.
How Long Does It Last?
It depends on the product, but approximately six to nine months. Since everyone's body metabolizes differently, it can last from six months to one year.
Does It Go Away Completely?
Yes, if you stop getting the injections, the material is degraded by the body, leaving no traces of the dermal filler in the body.
Is There Any Pre-treatment Required?
Avoid any products containing Aspirin, Ibuprofen, St. John's Wort, or high doses of Vitamin E for one week prior to treatment to help decrease bruising and bleeding at the injection site.
Is There Any Post-treatment Required?
You will need to leave the area alone for six hours after treatment and refrain from aerobic exercise for 24 hours. There might be redness, swelling, and minor bruising at the injection sites.
Does It Hurt?
There is minimal discomfort, but a topical or local anesthetic is available if needed.









